You've got questions, we've got answers
How to determine your price range
Everything you need to confidently buy your new home
What you need to know
Find trusted vendors in your area
Find utility information for your area
Send an email with a link to
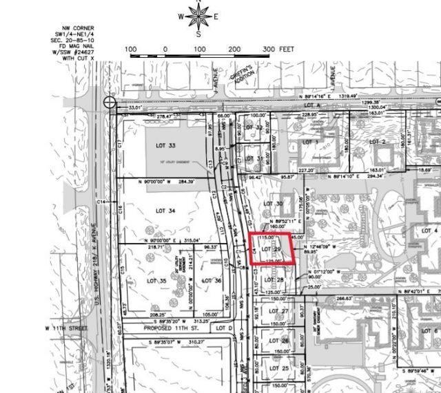
1002 J Avenue , Vinton, IA 52349.
Welcome to the Mary Ingalls Subdivision. Part of history and part of the future. This property is located on the historic Vinton Braille School grounds along West 13th Street. Vinton-Shellsburg school system. Near grocery stores, restaurants, parks, trails, and other amenities. Lot 29. Bring your own builder. Covenants and recorded plat attached.
MLS ID: 2602212
Shown By
Agent Name: Melissa Zell
Agent Phone: (717) 574-0835
Agency Title: Ruhl&Ruhl Realtors
Agent Email:
Shown By
Agent Name: Melissa Zell
Agent Phone: (717) 574-0835
Agency Title: Ruhl&Ruhl Realtors
Agent Email:
Contact an agent to learn more about
1002 J Avenue , Vinton, IA 52349.

Call or Click to get Pre-Approved!
563-441-1862
toll free 866-441-1862
Customize Your Rate
| Loan Type | 30 Year Fixed | FHA 30 Year Fixed | 15 Year Fixed |
| Purchase Price | $29,000 | $29,000 | $29,000 |
| Down Payment | $5,800 | $1,015 | $7,250 |
| Monthly Mortgage Amount | $139 | $171 | $178 |
| Taxes | $40 | $40 | $40 |
| Insurance | $100 | $100 | $100 |
| HOA/Dues/Fees | $0 | $0 | $0 |
| Monthly Mortage Insurance | $0 | $13 | $0 |
| Monthly Estimated Total | $279 | $324 | $318 |
Vinton, IA is located in Benton County, IA. The city arose from a trading outpost in the 1800s and has since flourished. Parks, businesses, a library, an airport, and more, offer residents convenience and community.
Ruhl&Ruhl Realtors has homes for sale in Vinton, IA for you to choose from. Continue browsing this page to see all houses for sale and real estate options in Vinton.
Nearest Ruhl&Ruhl Office
5805 Council St. NE, Suite A
Cedar Rapids, IA 52402
Phone Number: (563) 441-1776